The Victims The Place Time It Was The Crime The Investigation The Convicted
Jivepuppi.com

 

Looking south over the discovery woods, picture two. Click for larger view.


     The Discovery Woods                  Overhead view of woods         The pipe across the bayou           Paths to the discovery site

 
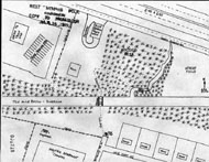
Labelled map of discovery site and surrounding area.  This was from a police photo taken at an angle and then skewed, corrected, by fitting it to a map grid. The entrance to Robin Hood Hills is where the victims were last seen.  Catfish Island is the workplace of Pamela Hobbs and where she was notified the children were missing.  The discovery site was separated from the Robin Hood Hills by the Bayou Diversion Channel.  

Copyright © 2008 Martin David Hill